YUCATÁN
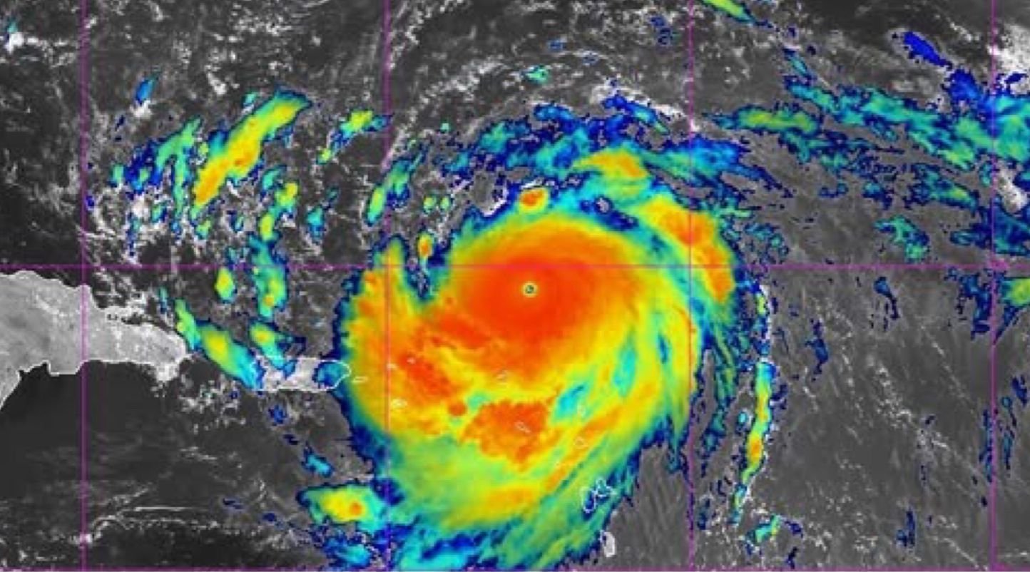
Huracán Erin alcanza categoría 4, pero Yucatán no está en riesgo
El Huracán Erin no representa peligro para la Península de Yucatán, a pesar de haberse intensificado hasta categoría 4 en el Atlántico. Las autoridades mantienen vigilancia ante la posibilidad de otro ciclón tropical en la región. A 1,785 kilómetros al…
Venta ilegal de lotes amenaza la zona costera de Sisal
Sisal enfrenta un conflicto que va más allá de la marea roja: la venta ilegal de terrenos en la zona federal marítimo-terrestre podría afectar a decenas de familias y al ecosistema local, alertan habitantes de la comunidad. Vecinos denunciaron que…
Llegada de turistas a Yucatán disminuye por inseguridad en carreteras del sureste
La llegada de turistas a Yucatán ha mermado debido a la inseguridad en las carreteras del sureste del país, afectando la ocupación hotelera en Mérida y en los destinos del interior del estado. La Asociación Mexicana de Hoteles de Yucatán…
Pescadores de Yucatán temen por sus ingresos ante la presencia de marea roja
Pescadores de Yucatán temen por sus ingresos ante la presencia de marea roja, que ha llevado a las autoridades estatales a decretar una Veda Sanitaria General. La prohibición abarca toda la franja costera y hasta 40 kilómetros mar adentro, con…

























